
DÍAS 1 y 2- PASEO POR MALE Y FERRY A MAAFUSHI
Nuestro viaje se iniciaba en Madrid con escala en Londres, donde teníamos un incómodo cambio de aeropuerto, del de Heathrow al de Gatwick y sin que estuviera incluido por parte de la compañía, cogiendo el bus de National Express por 25 £=29,62 € cada uno y que tarda cerca de 1 hora, que habrá que tener en cuenta en el tiempo de escala. En total despegamos de Madrid a las 11:15 y aterrizamos en el aeropuerto Ibrahim Nasir de Male a las 09:40 del día siguiente con cambio horario incluido, casi nada, tras unas 10 horas de vuelo directo desde Londres (recuerdo que el precio fue de 388 € i/v con British Airways).
El aeropuerto de la capital maldiva se encuentra, como es lógico dada la particularidad de este país, en una isla aparte y cercana a la ciudad, por lo que la mejor manera de llegar a ella es con el ferry público que se coge nada más salir de la terminal, donde también esperan los barcos privados de los hoteles y los “speed boats”, y que no tardó más de 15 minutos costando apenas 10 MVR=0,60 €. Hacer constar que en la propia terminal cambiamos unos € a MVR en la oficina del “Bank of Maldives” (a 1 €=15,71 MVR) y que, guardando el ticket, te dejan volver a cambiar lo que te sobre a la vuelta si es necesario. Nada más salir habíamos sentido ya el cambio radical de tiempo del frío europeo al trópico, quedando sorprendidos por el color y claridad del agua en el propio puerto, cosa que prometía 🙂 .
Dado que disponíamos de unas horas hasta la salida del ferry a Maafushi y pese al cansancio del viaje acumulado, nos aventuramos a pasear por Male (ya los 4 reunidos), ciudad que a decir verdad no cuenta con nada lo suficientemente interesante como para quedarse allí, desembarcando en la terminal del noreste de la isla con el equipaje a cuestas y haciendo un pequeño recorrido hacia el este buscando el monumento al tetrápodo, gracias a los cuales la ciudad ha logrado ganar algún metro sobre el nivel del mar. Dando forma a nuestras primeras impresiones de esta isla-ciudad, continuamos nuestro paseo entrando en la calle principal (Majeedee Magu) por el este hasta el Estadio Nacional, girando a la derecha hasta la zona de más interés con las mezquitas vieja y nueva, la plaza de la República y el curioso “Fish Market” en el que merece la pena adentrarse para echar un ojo a las capturas del día.
Con nada más que ver, el sol apretando y contaminados por el “jet-lag”, anduvimos rodeando la isla hacia el oeste, pasando por los puertos pesquero y comercial, hasta llegar a la zona de la terminal de ferrys de Viligili, al suroeste, desde donde salía el de Maafushi a las 15 horas. Adquirimos los billetes a 22 MVR=1,34 € por cabeza y comimos en un buffet cercano sin nombre por 90 MVR=5,47 € cada uno con un camarero de lo más majo, que nos atendió personalmente sin necesidad de hacerlo. El ferry salió puntual, resultando ser un barco decente, aunque algo ruidoso y sobre todo caluroso, ya que uno de sus costados, entre cortinas y demás por el sol, estaba casi cerrado y no permitía circular el aire, sin que además permitieran subir al techo como luego sí haríamos en otros. Pese a todo pudimos en algún momento “olvidar” el cansancio y disfrutar de las islas que íbamos pasando, parada en Gulhi incluida, llegando a Maafushi tras 1:40 horas de travesía.
Esta isla se ha hecho con el protagonismo tras la apertura de Maldivas a todo tipo de viajeros, abundando tanto la oferta de hospedaje, como las opciones para comer y las excursiones a realizar, por lo que es una base ideal para explorar la zona, aunque no se trate de la isla más bonita, desde luego. Una vez allí, entre calles sin asfaltar con palmeras a los lados y con alguna que otra moto, aunque nada que ver con el bullicio de Male, localizamos el Maafushi Village en Husnuheena Road, un fantástico alojamiento que reservamos a través de booking que contaba con habitaciones amplias con baño, aire acondicionado, ventilador en el techo, nevera, wifi y TV para quien la quiera, el personal, de lo más amable, incluso salió a buscarnos en moto para llevarnos el equipaje (llegamos nosotros antes) y nos informó de todo. Además, ofrecen servicios de traslado y recogida al aeropuerto y excursiones, costando la noche 105 $=100,48 € por habitación doble con desayuno incluido (muy bueno), siendo el precio inicial de booking 81 $ a lo que hay que sumar el impuesto del 12%, cargo por servicio del 10% y una tasa medioambiental de 3 $ por persona y noche, circunstancia que tendréis que tener en cuenta a la hora de reservar 😉 .
No nos quedaba ya más que descansar y salir apenas para cenar en una de las mesas a pie de playa del “Rehendhi”, un buffet restaurante donde cenamos a gusto por 56 $=53,52 € los cuatro, y comparar un poco los precios de las excursiones en diferentes agencias, como la de nadar con un tiburón ballena, que andaba entre los 80-85 $ u otra para ver delfines, bucear en arrecifes y comida en un sandbank (las características lenguas de arena que afloran en mitad del mar) por 25-30 $, sin que variara mucho de un sitio a otro. Dejo el enlace de Icom Tours como ejemplo, página con la que ya dimos desde España y que cuenta con una oficina allí. Sin concretar nada todavía y rendidos por el viaje nos marchamos a descansar y recobrar fuerzas para descubrir la isla al día siguiente.
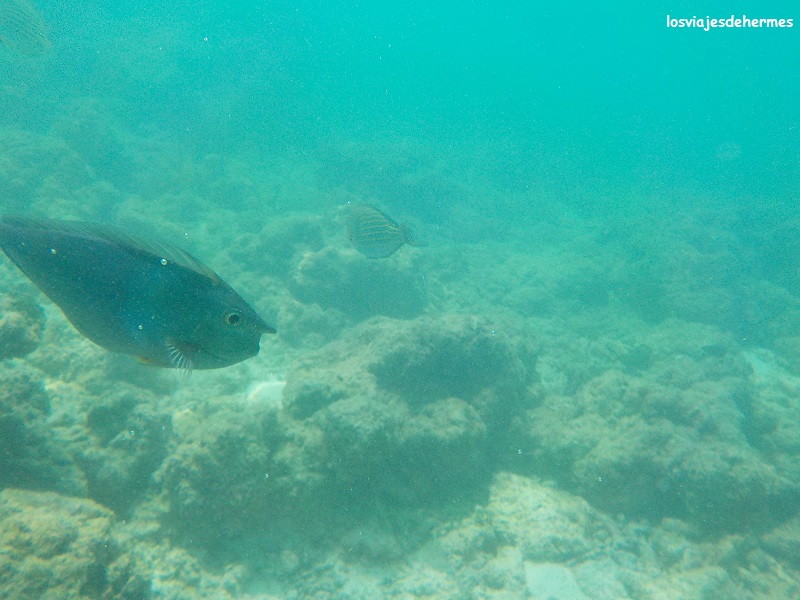
DÍA 3- PLAYA Y BUCEO EN MAAFUSHI
Con mejor cara y tras desayunar de maravilla con frutas, zumos, tostadas y huevos (muy completo), nos dirigimos a relajarnos a la bikini beach de la isla, más bien pequeña a mi juicio aunque con bonitas palmeras. Había bastantes turistas (a diferencia de Thinadhoo, con más espacio y menos gente) pero nos instalamos a gusto y toda la mañana fue relajación y snorkel por el cercano arrecife, que si bien estaba muy desgastado tenía vida de sobra, con los raros peces unicornio (sí, como con un cuerno) y peces loro como más destacados. En la propia playa había un puestecito con cocos a 2 $=1,91 € ó 30 MVR=1,82 €, así que en líneas generales y para este tipo de gastos sale un poquito mejor pagar con la moneda local.
Repetimos comida en el “Rehendhi”, aunque en las mesas de dentro, costando el buffet 10 $=9,55 € por persona más la bebida incluyendo arroz, pasta, algo de pescado (atún creo) y pollo, más que suficiente. Para la sobremesa dimos una vuelta por las calas del norte de la isla, observando un poco la vida local y llamándonos la atención un grupo de mujeres que se bañaba hasta con calcetines, en una playa donde mi hermano y yo nos emocionamos al ver los primeros tiburones de arrecife de puntas negras casi en la misma orilla, decidiendo volver a bucear más tarde por la zona. Y es que lo de mi hermano y yo con los tiburones viene de lejos, valga como ejemplo el libro que hicimos cuando éramos niños sobre ellos, con dibujos y toda la información que fuimos capaces de reunir ¡y sin internet! 😉
Regresamos a la zona, ya vestidas ellas con camiseta de agua al no ser bikini beach, aunque apenas pudimos ver un tiburón y alguna raya y pez globo pequeños, disfrutando también de la claridad del agua que era mucho mayor en este arrecife que en el de la playa para turistas. Por la noche intentamos contratar alguna de las excursiones para nadar con el tiburón ballena sin suerte, pues no se harían en los días siguientes, así que una vez superada la decepción inicial nos acabamos apuntando a la excursión del Hotel Kaani, con buceo en dos arrecifes, avistamiento de delfines, comida en un sandbank y visita a la vecina isla de Guraidhoo, que como os contaré enseguida mereció la pena (el precio fue de 30 $=28,69 € por persona).
Para cenar dimos con la excelente pizzería “Mamma Mia”, muy cercana al alojamiento, donde unas pizzas buenísimas acompañadas de unos zumos naturales todavía mejores y trato excelente sumó una cuenta de 403 MVR=24,58 €, un sitio muy recomendable sin duda.
DÍA 4- GENIAL Y ACONSEJABLE EXCURSIÓN
Tras desayunar nos presentamos a la hora indicada (09:15 horas) en el Hotel Kaani, que está junto a la bikini beach, donde recogimos el material incluido en la excursión como toallas, equipos de buceo para el que no lleve (no era nuestro caso) o chalecos para los más inexpertos, subiendo a bordo de una de las dos embarcaciones que participaban en la excursión. Eramos un grupo relativamente grande, aunque bien repartido y los guías estuvieron en todo momento muy pendientes de todos, incidiendo en una breve charla en la importancia de no dañar el entorno (como los frágiles corales) y no molestar a los animales, lo que creo que es de vital importancia y no lo he visto en otros lugares de características similares que he visitado. Definitivamente en Maldivas saben que viven de esto y hacen por cuidarlo, tanto en el agua, su valor más seguro, como en tierra, puntos estos que le dieron mayor valor a la excursión desde mi punto de vista.
Durante el día tendríamos 5 paradas, empezando con una sesión de esnórquel en un arrecife al sur del atolón -de hecho, navegamos un buen rato rumbo al suroeste mientras compartíamos una animada charla con uno de los guías-, donde además de disfrutar de la belleza del borde del arrecife, justo en la zona que se gana profundidad, pudimos nadar junto a una tortuga de medio metro más o menos, casi hasta el punto de tocarla de haber querido, todo un espectáculo.
Hacer constar una vez más que los guías estuvieron siempre atentos y ayudando a aquellos que no estaban familiarizados con el medio acuático, a la vez que tomaban fotos de todo y de todos, y que son gratis pues te las pasan si quieres. Tras un buen remojón y ya a bordo nos movimos hasta el área de avistamiento de delfines, junto a la isla del resort Rihiveli (en la punta sur del atolón), no tardando en divisar un numeroso grupo de delfines que enseguida se pusieron a jugar con las olas que los barcos producían, observándolos de cerca e incluso deleitándonos con alguna de sus piruetas y saltos.
Ya se sabe que el mar da hambre y lo siguiente era la comida en el sandbank, uno de esos bancos de arena que emergen y forman diminutos islotes sin nada encima, dando la sensación de que se está andando sobre el agua, pudiendo bucear un rato mientras se organizaba la comida que incluyó un poco de pollo con ensalada, arroz, bebida y fruta que nos supo a gloria. Tras la correspondiente y preceptiva sesión de fotos a las que se presta un lugar semejante volvimos a bordo para poner rumbo a un nuevo punto de snorkel, más al norte en esta ocasión, en el que disfrutamos de un nuevo e impresionante arrecife donde se dejaron ver dos tortugas, una de ellas realmente grande (y que también llegamos a tenerla a muy corta distancia) además de peces globo, loro, unicornio y demás, que a esas alturas ya nos empezaban a ser familiares.
Para acabar la excursión y como última parada atracamos en la isla de Guraidhoo para visitarla, algo sencillo dado su tamaño, recorriendo su calle principal en la que se pueden encontrar algunas tiendas de recuerdos. Finalmente regresamos a Maafushi encantados con la organización y satisfechos de haber elegido esta opción, que no puedo hacer otra cosa que recomendarla. Ya a la noche pasamos por el hotel para grabarnos todas las fotos que hicieron los guías y cenamos en un restaurante local situado enfrente del puerto, una vez pasada la escuela y junto a una agencia turística, donde pedimos noodles pagando 485 MVR=29,57 € por los cuatro. Ciertamente fue un día intenso y bien aprovechado.
DÍA 5- TRASLADO A THINADHOO EN FERRY
Con charcos en la calle por la lluvia que cayó durante la noche, nos despedimos de nuestros anfitriones, que para variar nos llevaron el equipaje al puerto primero e incluso vinieron a despedirse cuando el ferry llegó, otra vez más estuvieron de diez. Embarcamos a las 11:40 horas como estaba previsto, comprando el billete a bordo (53 MVR=3,23 € por barba) y poco a poco fuimos dejando Maafushi atrás rumbo a otra isla muy diferente y que a todos nosotros, con total sinceridad, nos gustó más, lo que queda ya para el siguiente capítulo 😊 .





































